| Títol | Rutes per les Alqueries (2) |
| Autora | Encarna Gimeno Fuster |
| Imatges | Les Alqueries Pèdia i Google Maps |
| Vídeos | Ajuntament de les Alqueries |
| Preparació de la publicació | Laura Yustas i Nelo Vilar (Etnopèdia) |
| Data inicial de publicació | Dijous 25 de març de 2021 |
Continuem replegant les rutes que proposa l’Ajuntament de les Alqueries pel casc urbà, el terme i el patrimoni del nostre poble. Són rutes dissenyades per Encarna Gimeno Fuster, que, com ja vam dir, recullen la singularitat urbanística i social de les Alqueries i són una bona oportunitat per a seguir aprofundint en el coneixement, la interpretació i el gaudi d’este patrimoni únic caracteritzat, entre altres coses, per l’habitatge dispers en forma d’alqueries, panys o xalets.
Fa alguns dies vam publicar les dos primeres Rutes per les Alqueries.
Ací us presentem les dos següents, proposades amb motiu de la lluita contra el càncer. Com en l’anterior ocasió, hem aprofitat el bon treball d’Encarna i quan hem pogut hem afegit comentaris i enllaços a fites que ens han paregut d’interés, bé sobre les seues singularitats arquitectòniques, bé recuperant els interessants comentaris que feia Mn. Salvador Ballester Huguet al seu llibre Racons i records del meu poble o en altres fonts. També afegim mapes interactius de cada ruta.
- La Ruta del colesterol. No cal fer-ho molt complicat: esta senzilla ruta circular que recorrem desenes de persones a diari és especialment rica en elements patrimonials que mereixen el nostre comentari.
- Pujada a la Muntanyeta de Sant Antoni, una ruta amb una rica història col·lectiva, lligada a la popular festa de Sant Antoni del porquet.
TERCERA ETAPA – Ruta del colesterol
Mapa 1a etapa: Ruta del colesterol
Part d’esta volta estava inclosa en la «Segona etapa – ruta pel poble i el terme»: per exemple el Xalet del Malaguenyo, la Finca del Pito, el Xalet Roig o Torre la Mina, però hi ha molt més que destacar, per exemple:
- L’escola de la Palmera
- La Creueta
- La pedra dels morts
- El Replà
Moltes més històries es podrien traure d’esta ruta; ho podem intuir llegint la descripció que fa Vicent Ramon Molés del Barri del Pi, per exemple en este fragment inicial, que comença pel Replà i baixa per carrer de la Regenta fins a la Creueta:
El Pi
Empezaremos por el camino del Niño,
por nuestro querido Replà,
recordando muchas veces lo que tu barrio
tenía y no tiene ya.
Fila del Niño y camino
para comenzar a recordar
lo que fue el Barrio del Pi
y al molino Rates llegar.
El huerto las 4 palmeras
y la fila Reverter,
abajo el almacén del Bort
hoy refugio del pintor Balaguer.
La “Anoer de la Colorà”,
la barbería de Pepe el Torner,
hoy se encuentra en abandono
y en su calle el Ñisprer.
Seguiremos hacia abajo
siguiendo nuestro destino,
encontrando la Creueta
al otro lado del camino.
L’ESCOLA DE LA PALMERA, cr. Verge de la Rosa 56
L’actual Casal Jove o “Escola de la Palmera” és un edifici ample, d’una sola planta, que es va construir el 1933, en la II República, com a part dels programes d’alfabetització; els xics anaven a un costat i les xiques a un altre. Té un gran pati davant, amb una tanca perifèrica. L’edifici ha rebut moltes modificacions però essencialment manté l’estructura, té dos portes accessòries a més de la central i nombroses finestres. Sobre la porta del mig, un ampit amb un escut i un floró.
Mn. Salvador Ballester Huguet, al seu llibre Racons i records del meu poble (https://www.lesalqueriespedia.com/arxiu/mn-salvador-racons-i-records/) contava açò següent:
LA PALMERA I LES ESCOLES
La palmera era un dels tres arbres emblemàtics i centenaris d’Alqueries. Era altíssima, no exagero; tenia el tronc, des de meitat de la seva altura inclinat. Era tot una fita i un punt de referència, ja que es veia de tot arreu i donava nom a tota una zona del barri del forn. Estava situada junt a un xalet, de la família “Llansola”, segons crec, entre la via del tren i el Camí “Sedeny”, a la meitat entre el Camí Artana i el “Camí Regenta”. Recordo que el mestre, en una ocasió, ens va fer calcular la seva alçada a partir de la seva ombra. Aquesta palmera es va trencar ja fa molts anys, un dia de vent molt fort. En el seu lloc es va plantar un altra, que ja tenia una altura mitjana, però fa un parell d’anys, va morir pel “picudo”. A la dreta del “Sedeny”, en direcció a la “Creueta”, unes passes més enllà del xalet de la Palmera, està el grup de l’escola que anomenem “La Palmera”, per la seva situació, per distingir-lo dels altres grups escolars que hi havia al poble. Era un edifici amb dues aules, molt lluminós, amb un vestíbul que separava les aules, amb els seus corresponents serveis i un pati, amb tàpia. Davant l’edifici estava el pati que tenia la seva entrada pel camí “Sedeny”. Aquest pati estava dividit per una cera que donava al vestíbul d’entrada. A l’entrar a l’esquerra es situava l’aula dels xics i a la dreta la de les xiques. Igual al pati. El pati de les xiques estava envoltat d’una franja de jardí que cultivaven elles mateixes. La mestra de les xiques tenia una molt bona reputació com a professora; es deia Dª María, apodada “la pequenya”. Era baixeta, d’ahí el que l’anomenaren “la pequenya”. Era de València. Jo la coneixia bastant perquè s’hostejava al costat de casa meva. En casa de ma tia Doloretes de “Lliberato”, que era soltera. La majoria dels dies, anàvem junts a l’escola amb altres nens, caminant per les sendes, fins arribar al camí “Sedeny”. El mestre, el parell d’anys que hi vaig anar a aquesta escola, va ser D. Antonio.
LA CREUETA, cr. Verge de la Rosa 100
La “Creueta” era un bar i botiga al mateix temps. Està situada a la part dreta de la carretera de la “Regenta” o València al seu encreuament amb el camí de “Sedeny”, en direcció al “Camirrel” a l’angle nord-est. Avui, un pont, i la seva corresponent rampa d’accés sobre la via del ferrocarril, per suprimir el pas nivell, obliga al camí “Sedeny” a donar un gir de mitja circumferència. El nom de “Creueta”, li ve per una petita creu de terme que hi havia en un piló, com era costum abans, a la vora del camí, a les sortides dels pobles.
El bar era molt freqüentat pels homes del lloc, treballadors del camp, per estar situat a la vora del camí, disposar de terrassa, i sobretot, lloc per a poder aparcar. És un d’aquest llocs típics de trobada als pobles. A més, queda aïllat de les altres cases. Hi havia altres bars al poble, en aquell moment: el bar “Cantó”, a prop del pas a nivell, en el Camí d’Onda; el bar Campos, del “Camirrel” i altres que han desaparegut com el bar Sol, a la plaça del poble, el bar la “Pols” en el Camí Betxí i el bar de Les Delícies, a la petita placa de darrera de l’estació de tren.
LA “PEDRA DELS MORTS”
(de https://www.lesalqueriespedia.com/arxiu/enterraments-tradicionals/)
El particular urbanisme de les Alqueries suposava també singularitats en els enterraments. La població estava dispersa i allunyada, no existia el camí del Caixer —aleshores només hi havia una senda vora la sèquia— i en bona part de la població calia carregar-se els taüts al llom, tirar pel carrer Jaime Chicharro avall, trencar pel carrer Verge de la Rosa, arribar fins a la Creueta i pujar pel carrer de la Regenta fins a l’església del Replà; d’ahí arribaven a la Tartana i per la carretera eixien al cementeri. Es tracta d’un trajecte de més de tres quilòmetres per a fer-lo carregat, d’ahí que hi haguera diferents punts de descans, dos d’ells sobre les “pedres dels morts”, superfícies planes sobre les que es descansava el fèretre mentre es feia un respons. Una d’estes “pedres” està dipositada al magatzem municipal, és un gran bloc de pedra calcària acuradament tallada, i estava a l’altura del camp de futbol, enfront de la Torre la Mina. L’altra és a penes una llosa que trobem aproximadament al seu emplaçament original al camí de la Regenta, cantonera a l’entrada a una finca sobre un muret de blocs de formigó, i conserva una inscripció amb bona lletra que diu “AÑO 1892”, que és potser l’any em què es van instal·lar les pedres.
La llosa que corona el ribasset és una de les “pedres dels morts”, que va ser moguda però respectant aproximadame seua ubicació original.
La inscripció diu: “AÑO 1892”.
La segona “Pedra dels morts” dipositada al magatzem municipal.
La segona “pedra dels morts”, aleshores ja en desús, cap a 1970, en el seu emplaçament, a l’altura del camp de futbol de les Alqueries. En este punt es despedia part de la comitiva que acompanyava el difunt. A l’altre costat de camí veiem el tancat de Torre la Mina i al fons l’edifici del Replà amb la torreta intacta. Fotografia de Rosa Ros Pons.
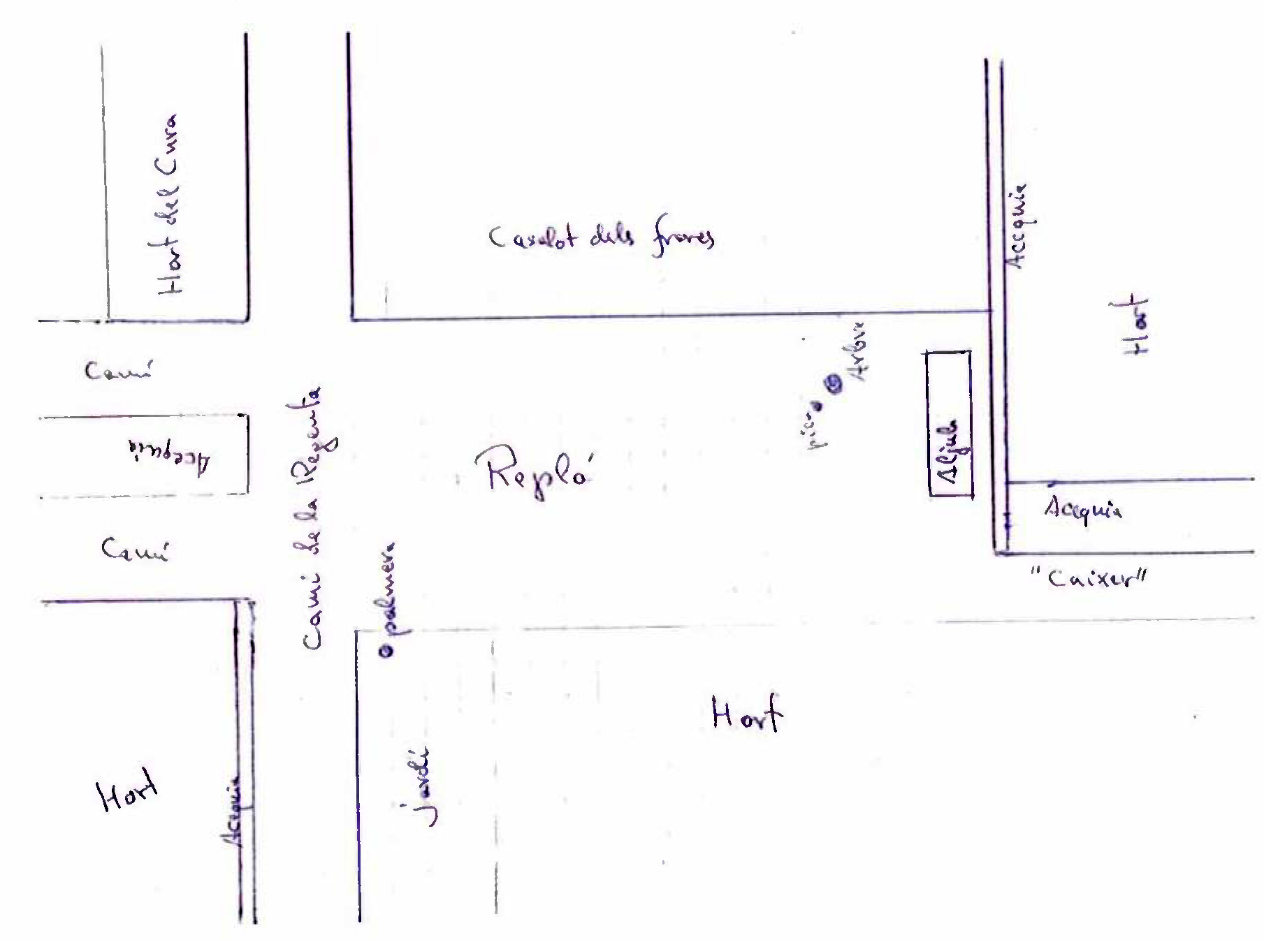
EL REPLÀ, camí de la Regenta 4
El Replà es considera “la mare” de les Alqueries, perquè l’oratori del frares de Caudiel, dedicat a la Mare de Déu del Niño Perdido, va aglutinar i va donar identitat als pobladors de les nombroses alqueries. Anem a fer trampa i a citar la descripció que se’n fa a la web municipal:
Es tracta d’un conjunt arquitectònic catalogat, és d’època contemporània (segle XIX), però, segons les fonts, el lloc en el qual s’erigeix, coincideix amb l’antiga alqueria de Bonretorn, de la qual existeixen referències des del segle XVI. Es tracta del primer lloc de reunió públic dels habitants de la zona i construït per ells mateixos. La Casona del Replà correspon a una edificació de tipus residencial i el conjunt comptava amb una torre de planta quadrangular a la qual s’accedia des d’una escala interior demolida en 2002. En la primera planta es trobava un menjador necessari per albergar al conjunt dels treballadors de l’explotació, encara que han desaparegut gairebé totes les parts on se situen les dependències del servei. Respecte a l’Església Vella del Replà, va ser construïda en 1852 perquè l’antic oratori del XVII dels frares agustins allí existent s’havia quedat menut. La família Márquez, senyors de l’alqueria, va cedir terrenys al poble perquè erigiren un nou temple que finalment es va adossar al conjunt rural.
Sobre el Replà i l’església vella, podem trobar la següent informació al llibre de Mn. Salvador Ballester Huguet Racons i records del meu poble (https://www.lesalqueriespedia.com/arxiu/mn-salvador-racons-i-records/).
-
- EL REPLÀ I EL CASERÓ DELS FRARES
El “Replà” és un lloc emblemàtic per a qui es prècia de ser fill d’Alqueries del Niño Perdido. Considerem que és com l’inici de l’agrupació de les Alqueries, ja que va ser aquí, en el “caseró-convent” dels Frares Agustins de Caudiel, com alguns l’anomenen, on van començar a reunir-se els habitants de les diferents masies, escampats per tota l’horta dels tres antics poblats àrabs. És tracta de l’Esplanada o plaça que hi ha junt a l’edifici que posseïen els frares a la seva finca. Està junt al camí Regenta o València. Donació al col·legi, que els frares regentaven en Caudiel, del senyor Miralles, de Begís. Aquest edifici va servir com a residència als frares quan venien a recollir els fruits de la finca i, en altres ocasions, com de vacances. És un edifici bastant gran, amb un pati interior, que dóna accés a les diferents dependències. Tenia una torreta, habitatge per als encarregats de la finca, vàries habitacions a la planta baixa i pis superior i espaioses corralisses.
En una de les habitacions, a la planta baixa, els frares van muntar una capella, per celebrar la Santa Missa i practicar les seves oracions i resos, durant la seva estança a la finca. En aquesta capella va ser posat un quadre, pintat, de la mare de Déu del Niño Perdido, patrona de Caudiel. En aquesta capella varen començar a acudir els diumenges i festius, els treballadors amb les seves famílies, així com els habitants de les alqueries properes. Aquest és l’origen de la devoció i el patronatge de la mare de Déu del Niño Perdido, així com l’origen de l’agrupament d’ Alqueries com a poble. I, per descomptat, l’origen del seu nom: Alqueries del Niño Perdido. El “Replà”, tal com jo el vaig conèixer de menut i durant molt anys, tenia aquesta configuració:
El “Replà”, al nord, limitava amb l’aljub àrab, la sèquia gran que passava per baix del Replà i el Caixer que unia la plaça Major amb el Replà. Al sud, amb el camí de la Regenta o València. A l’est, amb l’hort i el jardí, i a l’oest, amb el “caseró-convent” dels Frares.
A l’extrem nord, hi havia una aljub àrab. Com he dit abans, és un dels records que manté el poble de la dominació àrab, A prop de l’aljub hi havia un arbre gran i, junt al seu tronc i la seva ombra, una pica de pedra mitjana, per beure els animals amb l’aigua que treien del aljub. El “caseró”, bastant gran, com he dit abans, tenia la seva entrada principal pel camí València o Regenta. S’entrava al patí al que donaven totes les portes de les diferents dependències. Hi havia una porta lateral que donava accés a les corralisses (dona la impressió que aquesta porta se va obrir posteriorment). Actualment, el casalot està mig enderrocat, i gran part del sostre ha caigut. La torreta esta també caiguda i, en l’esplanada del “Replà”, han desaparegut l’arbre i la pica de pedra, així com la palmera i el jardí, convertits en hort. Es conserva, a Déu Gràcies, l’aljub àrab, tancat. L’edifici i l’esplanada, avui, és propietat de l’ajuntament. Espero que quan els temps siguen millors econòmicament, el restauren i se li done una finalitat digna, d’acord amb la seva historia i el que representa per al poble d’Alqueries. P.e., museu del poble o altres finalitats.
-
- L’ESGLÉSIA VELLA.
La parròquia, antic Temple d’ Alqueries, està situada al costat del camí de la Regenta o València, enganxat al vessant oest del casalot dels Frares. Va donar el solar D. Mariano Lorente, que va adquirir la finca quan la desamortització. El temple és de dimensions mitjanes, d’una sola nau, planta rectangular i d’una sola porta que s’obre al camí. Després del presbiteri està situada la sagristia, d’a on comença una escala que dóna accés a la planta que serveix per emmagatzemar les coses del temple. A sobre la porta d’entrada està el cor. El Temple tenia nou altars, amb les seves corresponents fornícules pera les imatges.
L’altar major, amb el sagrari, estava dedicat a la patrona: la Mare de Déu del Niño Perdido. La fornícula de la Verge quedava en alt. En el mateix presbiteri, ambdós costats de l’altar major, al frontis de la paret hi havia dos altars dedicats, el de l’esquerra mirant a l’altar major, al Sagrat Cor de Jesús, i el de la dreta, a la Verge dels Dolors. Les dos fornícules tenien porta de cristall. La Verge Dolorosa, a l’igual que la Verge del Niño Perdido i el Niño Perdido eren imatges de vestir, amb els seus vestits bordats. A les parets laterals del Temple hi havia sis altars, tres a cada banda, amb les seves corresponents imatges i fornícules, menos el dedicat a St. Pelegrí, el primer entrant a mà esquerra, que era un quadre pintat a l’oli sobre llenç, que representava al Sant. En aquest mateix costat, estava Sant Josep i la Verge del Rosari, que era imatge de vestir. A la part dreta, entrant, estava el altar a Sant Antoni Abad, la mare de Déu del Carmen, que tenia al davall el sepulcre de Crist jacent, i l’altar del Niño Jesús de la Bola, que era imatge de vestir, amb capeta roja. Aquesta era la distribució dels altars en el temple:
Els altars i retaules eren de guix, decorats en estil barroc. La porta d’entrada del temple estava recoberta amb estany, clavetejada. Tenia un llindar per a protegir-la de l’aigua. Rematava la façana amb una petita espadanya, amb la seva campana corresponent, que es conserva en l’actual campanar. És la més petita de les quatre existents avui. La campana s’accionava des de la mateixa porta d’entrada, utilitzant una corda.
El temple va quedar en peu en la guerra del 36 al 39 , malgrat els excessos que van ser comesos durant l’estiu de l’any 1936, com la cremada d’imatges, bancs, robes, etc. No se va salvar quasi res de les coses del Temple. Sols alguns objectes que varen recollir alguns feligresos valents que varen amagar a les seves cases, en els primers dies de l’alçament. Aquestos objectes salvats són: la Custòdia, la bandera de la Verge Patrona, un copó d’argent, un “coponet-crismera”, per a la unció dels malalts, la Vera Creu d’argent, la Creu Processional, la Pila Baptismal, la campana, com abans hem comentat i els dos caps de la patrona: la Verge i el Nen Jesús, que la mare de Pau, el Sagristà, va manar a aquest i al seu germà Baptiste que serraren de les respectives imatges, per salvar-les. Aquestes imatges eren les que solien eixir a la processó i es guardaven, en un vell arcó, a la part alta de la sagristia. Eren uns boldos de fusta, que vestien per a la festa i la processó un grup de senyores, entre elles la meva mare, i que com a crio petit, me duia amb ella i per això, més d’una vegada, vaig presenciar aquest ritual de vestir i preparar les imatges per a la festa. Per cert, el primer record que tinc del bou en corda és de darrere de la porta de l’Església vella, entreoberta, una vespra de la festa de la Patrona. Ho recordo perfectament. Vaig veure el bou tan enorme que em va parèixer un dinosaure.
QUARTA ETAPA – Pujada a la Muntanyeta de Sant Antoni
Mapa 4a etapa: Pujada a la Muntanyeta de Sant Antoni
Eixim des del carrer del Caixer.
Girem a la dreta pel Camí Regenta, per davant del Replà.
Continuem fins a Torre la Mina; passem pel Camí La Mina, a la dreta per baix de N-340, continuem recte.
Passem per baix del túnel de l’autopista.
En el pròxim encreuament a l’esquerra Camí Cabeçol.
Continuem recte, girem a la dreta c/ Palmeral. Continuem recte direcció Betxí. Passarem diversos encreuaments, el pou de San Domingo i una bassa.
Gira a l’esquerra pel Camí Els Artanencs i arriba fins a la Muntanyeta de Sant Antoni.
Si vos interessa tindre més informació sobre la tradició de Sant Antoni a les Alqueries, ací a LesAlqueriespèdia vam publicar fa molt poquet un treballet que incloïa comentaris molt simpàtics, en prosa i en vers, de Ramon de la Creueta, que pertanyia a una de les famílies que la van iniciar: “La festa de sant Antoni” —i alguns textos de Vt. Ramon ‘de la Creueta’.
I ara l’Ajuntament ha penjat a la seua web un llibre breu, molt il·lustrat, de Mn. Albert Ventura que es pot llegir on-line o descarregar-lo del següent enllaç: Les Alqueries celebra la festa de Sant Antoni.

















Deixa una resposta
Vols unir-te a la conversa?No dubtis a contribuir!